Российские артисты Михаил Пореченков, Борис Щербаков и Александр Савин награждены медалями «За укрепление дружбы Приднестровья и России» - Официальное представительство ПМР в РФ. // Новости Приднестровья | ПМР
Новости за 22.05.2025
Сегодня в селе Нововладимировка у 83-летней женщины закоротило телевизор, началось возгорание. Когда пенсионерка открыла дверь в комнату на неё повалил дым. Она не растерялась: сразу вызвала пожарных и позвала на помощь соседей.Они и...
Перед матчем Кубок установят у Главной Арены. Болельщики смогут с ним сфоткаться.
Масштабное мероприятие направлено на помощь молодёжи в выборе будущего дела жизни.Дубоссарский индустриальный техникум уже в четвёртый раз становится активным участником фестиваля, организуя для школьников увлекательные...
В первом квалификационном раунде оргеевский клуб встретится с кем-то из них (известны 13\14 команд):«Лудогорец» (Болгария)«Олимпия» (Словения)ФКСБ (Румыния)«Мальмё» (Швеция)«Жальгирис» (Литва)РФШ (Латвия),«Зриньски» или «Борац» (Босния и...
Борис Щербаков и Михаил Пореченков, в свою очередь, выразили слова поддержки приднестровскому народу и пожелали успешного преодоления...
«Шериф» будет в сеяной корзине. На кого могут попасть тираспольчане?«Пакш» (Венгрия)«Зиря» или «Сабах» (Азербайджан). Кстати, в прошлом году «жёлто-чёрные» встречались с «Зирей» в первом квалификационном раунде ЛЕ.«Приштина» или «Лапи»...
Сегодня у них была экскурсия по Главной Арене.Ребята пообещали прийти на матч в субботу. И главное пожелание от них – чтобы у наших футболистов появился ещё один Кубок Молдавии.
По его словам, президент Украины Владимир Зеленский не подходит на роль подписанта, потому что «давно потерял даже внутреннюю...
Старт — 9 июня: прополка грядок, сбор и сортировка урожая, и другие несложные задачи на свежем воздухе. Рабочий день — 4 часа. Подробнее здесь.@mshipr
Их могут ввести уже в 2026 году.Европейские лоукостеры готовятся закупить сидения, которые напоминают «сидушки» велосипеда, только с подлокотниками и ремнями безопасности. Предполагается, что это поможет увеличить загрузку бортов примерно на...
Что нужно делать: пропалывать овощи, собирать их и сортировать.Рабочий день с 8:00 до 12:00 с понедельника по пятницу.
Жалобу написал Джордже Симион, который проиграл во втором туре. Указывал на внешнее внешнее вмешательство в голосование, что привело к избранию его оппонента – Никушора Дана, действующего мэра Бухареста.Напомним, в ноябре 2024-го...
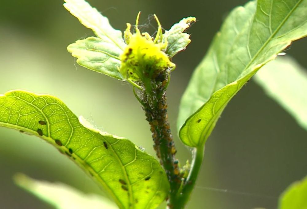
Или посадить одуванчики, они их тоже любят. Ну или купить их личинки в магазине.В советское время в Терновке была спецлаборатория, где таких полезных насекомых выращивали специально и потом выпускали в...
Прожорливые насекомые съедают гибискусы, розы и сливу.Для борьбы с ними дендрологи советуют два способа. Обрабатывать химией или заманивать в сад и огород божьих коровок. Личинка одной божьей коровки съедает в день до 150 штук...
Пишут на лепестках ромашки пожелания себе, одноклассникам и учителям. 24 мая, в день Последнего звонка, цветок спустят на воду, пишет «Бендеры Инфо»
Тираспольский юридический институт МВД проводит приёмную кампанию. Подробнее узнать о правилах приёма, перечне специальностей, программе вступительных испытаний можно на сайте ТЮИ по ссылке https://goo.su/O26lcТелефоны для справок: 0 (533)...
Власти Китая сказали, что замены людей не планируется — только помощь в рутинных задачах. Они задействованы в ночную смену, чтобы снизить трудозатраты и...
О советниках Бундесвера в Молдавии Кишинев и Берлин подписали соглашение о консультативной группе Бундесвера в Молдавии. Заявленная цель — ускорение модернизации молдавской обороны и углубление военного сотрудничества в контексте...
В интервью ТАСС Вадим Красносельский именно в отсутствии желания у Кишинёва вести переговоры видел истоки многих проблем между Приднестровьем и Молдовой.«Есть просто нежелание молдавской стороны сесть за стол переговоров. Не работают встречи...


















